大分の最新求人
宇佐市に激安スーパーの『ラ・ムー』が出店するそうです。
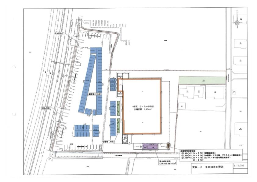
『(仮称)ラ・ムー宇佐店』が出店するのは、宇佐市上田のフラワーロード沿いです。
『西松屋』『しまむら』『新鮮市場』『ダイソー』などの店舗が立ち並ぶエリアに、新たに建物から建設して新設されるようです。

『ラ・ムー』は中津市にも出店が決まっています。
こちらは当初の予定では2026年春頃にオープン予定となっています。
関連記事
中津市に話題の激安スーパー『ラ・ムー』が出店することがわかりました。 『(仮称) ラ・ムー中津店』が出店するのは、中津市の中津胃腸病院などがある県道675号線沿いで、近くにはドラッグセイムス 中津沖代店があります。 以前はピーコック[…]
今回『(仮称)ラ・ムー宇佐店』が建設を予定しているのは、宇佐市上田のフラワーロード沿いにある『シャンブル 宇佐店』とパチンコ店『ダイナム大分宇佐店 ゆったり館』の間の空き地とみられます。

和気・佐野線方面↓

10号線方面↓

大分県の【大規模小売店舗立地法に関する届出書等の公告・縦覧について】では、【大規模小売店舗の新設をする日】は2026年年8月24日となっています。
営業時間は24時間営業とのことです。
まだ中津店がオープンしていない上での新規出店には驚きましたが、宇佐市への出展は嬉しい方も多いのではないでしょうか。
オープンは今秋ごろになると思われます。
LOG OITAでは「ここが開店/閉店してたよ」・「こんな大分の話題があったよ」などの情報提供を大募集しております。
採用された方から毎月抽選で5名様にAmazonギフト券プレゼント中です!
些細なことでも大丈夫ですのでぜひ情報提供ください。
情報提供はこちら
採用された方から毎月抽選で5名様にAmazonギフト券プレゼント中です!
些細なことでも大丈夫ですのでぜひ情報提供ください。
情報提供はこちら
LOG OITAは、大分の情報を未来に残すためのメンバーシップをスタートしました。
活動の継続を応援していただけるほか、“先行公開”や“限定コンテンツ”も随時更新していきます。
よろしければ、応援していただけると嬉しいです。
メンバーシップ詳細はこちら
活動の継続を応援していただけるほか、“先行公開”や“限定コンテンツ”も随時更新していきます。
よろしければ、応援していただけると嬉しいです。
メンバーシップ詳細はこちら
場所はこちら↓
有料老人ホーム メモリー明野北
月給20万4,100円~30万5,000円
正社員